Südostasien III Tag 17: Poda-Inseln Krabi (Ko Poda Nok/Chicken Island, Thale Waek, Ko Poda Nai) – Kurz nach Krabi cruisen
Ich mache den einzigen Bootsausflug ab Phuket, den ich noch komplett nicht kenne. Und er ist gar nicht schlecht.
Heute habe ich nochmal einen Tagesausflug gebucht – zu den vier Poda-Inseln in der Provinz Krabi. Abholung ist um 7 Uhr. Der Fahrer ist etwas zu früh, ich noch nicht ausgecheckt. Das Hotel macht da einen Akt von, auch mit ihrer Kaution (1000 THB).
Um 8:30 fährt das Boot von Ao Nang Travel nach Krabi. Sie haben alle ihre sechs Fähren Ao Nang Princess genannt. Ganz großartig.
Ankunft in Nopharat Thara (es gibt zahlreiche Schreibweisen des Namens) ist gegen 10:10, dann geht es mit dem Schnellboot auf die Poda-Inseln.

Ko Poda Nok

Es geht zuerst nach Ko Poda Nok, übersetzt Vogelinsel bzw. auf Englisch Chicken Island. 10:40 kommen wir an, 12:30 ist Mittag auf der Insel.

Vorgesehen sind hier jetzt fast 2 Stunden am Strand. Ich habe meine Schnorchelausrüstung dabei. Obwohl ich mich schon gefragt habe, warum ich das jetzt gemacht habe statt einem Ausflug zu Bamboo Island (was man nicht allein buchen kann sondern nur zusammen mit einer „Premium-Tour“ nach Mu Ko Phi Phi, wo ich schon war), gibt es tatsächlich sehr viel Neues zu sehen, als ich von Thale Waek aus gesehen links ganz hinten (so weit man trockenen Fußes kommt) schnorchle:



Es gibt hier auch wieder Anemonenfische, aber nur an einer Stelle. Diese Spezies mit zumeist Schwarz statt Orange bewegt sich mehrere Meter von der Anemone weg, sodass ich erst einen Anemonenfisch und dann erst die Anemone sehe. Da sie in größerer Tiefe leben und das Wasser etwas trüb ist, schaffe ich kein gutes Bild von dem Pärchen und ihrer Anemone.
Ach ja Nemo, kurz darauf treffe ich auf den Fisch, der seine Mutter verspeist hat:


Die Tiere auf den letzten zwei Bildern sind gefährlich für Menschen, jedoch nicht aggressiv. Barrakudas verwechseln gerne glänzende Dinge mit Beute, dann ist es doof für Taucher und Schnorchler. Ich hatte auch die Vermutung, dass auch die Fische der folgenden Art meine Kamera oder das rote Armband davon mit irgendwas verwechseln.


Warum Schwarz? Weil sie eigentlich schwarz sind und sich zum Sonnenschutz mit Sand eindecken.

Thale Waek (auch Ko Thap, Ko Tap und Ko Tup)
Nach dem Mittagessen gehen wir rüber nach Thale Waek, die Sandbank die zwischen Poda Nok und Poda Nai liegt. Normal fährt man mit dem Boot, aber heute Mittag ist wieder Niedrigwasser, sodass man durch das hüfttiefe Wasser waten kann. Thale Waek sind eigentlich auch zwei Inseln, die aber durch eine Sandbank verbunden sind.

Ich habe keine Schuhe dabei, was sich als unvorteilhaft herausstellt, da der Weg sehr steinig ist. Zwei Inderinnen begleiten mich auf die andere Insel.
Viel machen kann man auf Thale Waek nicht, obwohl dort mehr Menschen drauf sind als auf der größeren Ko Poda Nok. um 13:50 fährt das Schnellboot die Gruppe, die fast komplett aus Indern besteht (andere als die zwei, die mir geholfen haben), auf Ko Poda Nai, nicht aber, um zu erklären, woher Ko Poda Nok seinen Namen hat:

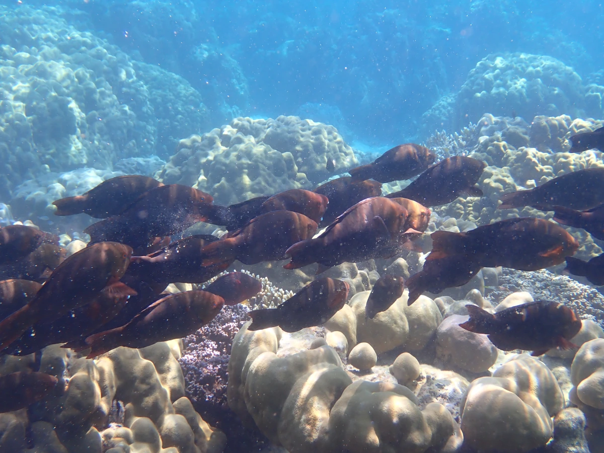
Ko Poda Nai (Ko Poda)

Auf Ko Poda Nai gibt es von der Crew Schnorchelmasken für die, die wollen. Wir sind hier jetzt von 14:10 bis 15:20. Ich finde das Schnorcheln hier schlechter als auf Ko Poda Nok, wo die Masken nicht ausgegeben wurden.
Aufgrund der Niedrigwassers schwimmt man nur ganz knapp über den Korallen. Klingt gut zum Fotografieren, ist es aber nicht, weil es gleichzeitig vom Sand ziemlich trüb ist. Ich schwimme zur nördlichen vorgelagertern Insel. Sie liegt in dem Bereich, in dem die Langschwanzboote nicht fahren dürfen.


Auch hier gibt es wieder einen Papageifischschwarm, aber die Bilder werden nichts, da sie fressen und dabei das Wasser noch trüber machen als es sowieso schon ist.


Da denkst du, du hast in Thailand beim Schnorcheln schon alles gesehen, und dann kommt so ein Tag...
Dann geht es zurück nach Nopharat Thara und dann weiter nach Phuket.

Wie man sieht, ist die Sonne jetzt weg. Passt ja. Und ich mache mich auch aus dem Staub nach Singapur morgen früh. Ich habe noch keine richtige Ahnung, was ich mache. Ich kann ja nicht den ganzen Tag im Botanischen Garten die Otter suchen, otter ... äh ... oder?
Die Datenflat auf der SIM-Karte hat mehr oder weniger pünktlich geendet nach 360 Stunden (15 Tagen), wobei von Mitternacht an auch nur noch maximal 900 kbit/s möglich waren. War kein guter Deal, denn ich hab etwa 14 Gigabyte verbraucht, was auch am gesperrten Tethering (Hotspot/Internetfreigabe) liegen dürfte. In Singapur gibt es die 15-Dollar-Touristenkarte (knapp 9 Euro), die ich damals hatte, jetzt mit einem Viertel Terabyte in Singapur und einem Viertel Terabyte Roaming in fast ganz Südostasien (statt wie damals 120 Gigabyte in Singapur und 3 Gigabyte in Malaysia, Thailand und Australien, wobei letzteres bei diesem Angebot nicht mehr drin ist). Ein Viertel Terabyte Roaming-Datenvolumen für 9 Euro! Und 31 Tage Gültigkeit (und Tethering). Ich glaube, da staunt man weltweit.
Fun Fact: Auch Singapur Airlines hat mich beim Checkin automatisch an den Notausgang gesetzt. Vielleicht ganz gut, denn das Flugzeug ist eine 737 MAX 8.
Ich wurde gestern von der Gruppe gefragt, warum ich nach Singapur fliege: aus Kostengründen. Flüge Richtung Heimat ab Phuket sind extrem teuer, insbesondere am Wochenende. So einen Glücksgriff wie 2024 mit TK, wo der von mir gewünschte Direktflug nach Istanbul plötzlich hunderte Euro billiger war, habe ich nicht landen können. Also muss ich leider drei Tage nach Singapur. Arm zu sein ist eine Bürde, wie 2025 als ich aus Kostengründen zwei Tage auf den Malediven war, weil die Direktflüge zwischen Frankfurt und Bandaranaike unbezahlbar waren.
Nach fast drei Wochen Action freue ich mich dann aber auch auf zu Hause. Mache ich jetzt schon.
Südostasien III Tag 16: Mu Ko Surin (Ao Chong Khad, Ko Surin Tai, Ko Surin Nuea, Ao Bon, Ao Sup Pa Rod) – Gefunden!
Im zweiten Anlauf konnte ich die Surin-Tour buchen und dadurch Nemo finden!
Aus der Gruppe ist heute nur eine Person abgereist (mit Edelweiss nach Kloten). Sie hat somit die geringste Flugverschiebung der Nicht-Verlängerer.
Nachdem es 2024 nicht geklappt hat, habe ich jetzt die Tour nach Mu Ko Surin (Surin-Inseln) buchen können! Yay. Ich wollte das erst wieder als Flughafentransfer benutzen, konnte aber den Anbieter („Oh-Hoo!“, wie damals nach Similan) nicht übe WhatsApp erreichen, um das abzuklären. Spoiler vorab: Es wäre gegangen, aber es war nach Rückkehr sehr hektisch. Die Zeit hätte nicht gereicht, um sowohl zu essen als auch zu duschen, wobei ich die Dusche diesmal auch nicht brauche, da ich erst morgens am nächsten Tag fliege. (Es gibt eine Dusche bei SeaStar Andaman, ich glaube es gibt auch nur genau eine oder zwei pro Geschlecht.) Außerdem war das, was ich morgen habe, morgen etwas billiger als heute.
Ach ja billig: Ich nutze Booking.com zwar nur, wenn ich nicht anders kann, da ich weiß dass die Gebühren für die Hoteliers hoch sind. Dennoch habe ich in deren Kundenbindungsprogramm Genius keinen normalen Rang mehr (Rang 1 bis 3) sondern schlicht „VIP“. Als solcher kriegt man offenbar etwa einmal im Jahr einen 15-Euro-Gutschein für Aktivitäten ohne Mindestbestellwert. Booking.com zapft hierfür Viator an, wobei ich nicht sicher bin, ob man den gesamten Katalog von Viator nutzen kann. Um Weihnachten 2024 war ich auf die Art und Weise bei der Salinenführung auf Lanzarote. Diese sechsteilige Serie fehlt aktuell, obwohl sie bis auf die erwähnte Führung fertig ist (es gibt weitere Serien, die bis auf den letzten Tag fertig sind). Die Saline hat nur wenig mehr als den Gutscheinwert gekostet, heute reduziert sich der Preis von 104 auf 89 Euro.
Die Surin-Inseln sind sehr weit weg und die Abholung naturgemäß sehr früh – 5:40. Es ist nämlich wieder ein ziemlicher Ritt. Der Transfer zum Anleger in Baan Nam Khem. Es dauert gut zwei Stunden von meinem Hotel in Karon aus. Da gibt es wie üblich Frühstück. (Es gab auch gestern Frühstück, obwohl es schon 13 Uhr war.) Interessant ist die Hühner-Porridge-Suppe, die man sich mit weiteren würzenden Einlagen versehen kann, z.B. Knoblauch, Sojasoße und Ingwer (ja Ingwer – nicht Galgant). Es gibt auch USB-Ladestationen (Kabel nicht nötig, aber es lädt nicht sehr schnell). Die Sache ist fast so groß und professionell aufgezogen wie Similan, aber nicht ganz.
Um 9 Uhr gibt es ein Briefing. Um 9:30 geht es los. Fahrzeit für die etwa 44 sm sind offiziell 1:20, wir brauchen heute wegen Seegangs 1:30. „Wenn ihr sauer auf mich werdet wegen des Wetters oder des Seegangs – mir egal!“, meint die Führerin. Programm ist wie folgt:
- 40 Minuten schnorcheln in Chong Khad Bay (den Touristen gegenüber „Nemo House“ genannt)
- 40 Minuten Besuch des Dorfes der Moken („Seezigeuner“)
- 70 Minuten Mittagessen und Besuch der nördlichen Surin-Insel
- 40 Minuten schnorcheln in Bon Bay
- 40 Minuten schnorcheln in Sup Pa Rod Bay
Diese Zeiten sind netto und laut den Mitarbeitern zu zählen ab dem Zeitpunkt, an dem der erste das Boot verlässt. Anders als beim Gruppenbus, wo ich in der Regel als letzter ausgestiegen bin, bin ich heute daher immer unter den ersten dreien. „Boot“ heißt heute nur beim Schnorcheln das Schnellboot, mit dem wir zu den Inseln fahren. Denn es ist Niedrigwasser und wir müssen daher die anderen beiden Punkte mit dem Langschwanzboot erledigen.
Ao Chong Khad (Chong Khad Bay, „Nemo House“)
Den Spitznamen hat dieser Schnorchelplatz von den über 50 Anemonen, die es hier gibt und in denen Falsche Clownfische in Symbiose mit der Anemone leben (Nemo ist ein Falscher Clownfisch; Echte Clownfische leben im südlichen Pazifik).



Clownfische sind Zwitter. Sie sind normalerweise männlich, aber das ranghöchste (und größte) Tier in einer Gruppe ist weiblich. Es stresst die Männchen, was das die Umwandlung unterdrückt. Stirbt es, wird das größte Männchen zum Weibchen.

Die Clownfische leben hier zusammen mit einem Dreifleck-Preußenfisch in einer Anemone.
Beusch des Moken-Dorfes auf der Südlichen Surin-Insel (Ko Surin Tai)
Die Moken werden als Seezigeuner bezeichnet, auf Thai als Wasser- oder Seevolk. Sie sind aber nur Halbnomaden, denn in der Monsunzeit sind sie sesshaft. In der Trockenzeit leben sie auf ihren Langschwanzbooten. Die Moken, die wir besuchen, sind aber auch jetzt in der Trockenzeit auf dieser Insel, und das wohl schon seit 200 Jahren. Wo sie herkommen, ist unklar. Bemerkenswert ist, dass beim Tsunami niemand von ihnen gestorben ist.

Ich bekomme den Tipp zum Aussichtspunkt zu gehen.

Vom Aussichtspunkt kann man noch weiter laufen. Das mache ich, obwohl ich meine Schuhe auf dem Langschwanzboot gelassen habe. Viel zu sehen gibt es nicht. Es ist ein bisschen zugemüllt und es sind Schilder aufgestellt, die aus dem Weg einen Lehrpfad zur Moken-Kultur machen.

Die Moken haben zwar verkaufen Souvenirs. Ich finde ein Armband am Strand und muss daher keins kaufen. Als Markt dient die Straße zwischen der ersten und zweiten Häuserreihe. (Eine Reihe besteht aus bis zu 31 Häusern, wobei in viele in der ersten Reihe zur Seeseite hin sichtlich zerfallen sind.)

Der Sand ist unfassbar heiß und ich muss mich alle paar Häuser in den Schatten retten. Später fällt mir auf, dass ich meine Füße auch einfach kurz unter den Sand schieben kann.
Im Dorf gibt es viele Katzen. Man soll sie nicht streicheln, warnen die Guides, da sie nicht geimpft seien. Man wollte ja nicht seinen Urlaub mit Notfall-Impfung (gemeint ist wohl die passive Tollwut-Impfung) im Krankenhaus verbringen.
Auf dem Weg zum Aussichtspunkt gibt es zudem Haushühner. Beide Tiere sprechen dafür, dass vom Nomadentum nicht viel übrig ist. Digitales Nomadentum könnte hingegen gehen – das TRUE-H-Netz ist hier recht brauchbar.
Besuch der Nördlichen Surin-Insel (Ko Surin Nuea)
Es gibt Essen. Dazu bekommen wir einen Plasikteller. Coca-Cola und Wasser gibt es ebenfalls dazu. SeaStar Andaman scheint eine Kooperation mit Coca-Cola zu haben, denn das Logo ist auf deren Shirts und den Schwimmwesten. Nur eine trägt immer noch das Pepsi-Logo.
Auf der Speisekarte stehen Spagetti, Reis, Hühnerbolognese, Tomatensoße (vegetarisch), süßsaures Gemüse mit diesen komischen roten Seafood-Stick sowie eine Hühnersuppe. Als Nachtisch gibt es, wie üblich, Wassermelone und Ananas.
Da jetzt noch gut 40 Minuten übrig sind, kann ich mich auf der Insel umsehen. Nachdem ich das eine halbe Stunde gemacht habe, fällt mir auf, dass ich mit komplett falschen Einstellungen fotografiert habe, und daher besuche ich die Punkte nochmal im Schnelldurchlauf mit den richtigen Einstellungen:

Auf OSM ist ein Weg eingezeichnet, aber ich komme an der Stelle auf dem obigen Bild nicht weiter, trotz Niedrigwasser.

Zurück zum Schnellboot fahren auf unserem Boot zwei Leute mit andersfarbigen Armbändern (wir sind rot, die haben Regenbogen). Sie haben hier übernachtet. Das hatte ich auch ursprünglich geplant, war mir aber mit dem Wetter nicht sicher (zu Unrecht). Im Zeit zu übernachten kostet geringfügig mehr als zweimal den Tagesausflug zu machen.
Der Mann ist offenbar Deutscher und die Frau vermutlich seine thailändische (deutlich jüngere) Freundin. Ich frage, wie es war: „Beschissen“, sagt er. Er hat im Zelt übernachtet und fühlt sich vom ANbieter verarscht, was dessen Ausstattung und Größe angeht. Außerdem war es im Schlafsack sehr warm (unerwartet!). Die Natur sei aber unfassbar gewesen, da wo sie waren. Ist sage, dass ich keinen Weg vom hiesigen Strand (mit dem Restaurant) weg gefunden habe. Er meint, sie seien mit dem Langschwanzboot abgeholt und zu ihrem Strand gebracht worden. Das erklärt's.
Ao Bon
Als nächstes geht es wieder zum Schnorcheln. Besonderheit hier sollen Seenadeln sein: „Kopf wie ein Seepferdchen, aber gerader Körper wie ein Bleistift“, beschreibt der Guide das Tier. Ich finde keine.

Ich finde einen Schwarm Papageifische, die eine Koralle bearbeiten. Als sie mich sehen, schwimmen sie weiter.



Auch hier gibt es wieder Falsche Clownfische.


Ao Sup Pa Rod
Das ist unser letzter Schnorchelspot. Mit Glück soll man SChildkröten und mit viel Glück eine Muräne finden können. Ich finde keins davon. Bei letzteren ist das vielleicht auch besser so.

Es geht zurück zum Anlager. Unterwegs drehen wir einmal kurz um, weil es zunächst so scheint, als sei bei einem der anderen Boote (ich glaube SeaStar hatte heute 5 Boote mit um die 30 Leuten, wobei es weitere Anbieter gibt) der Antrieb ausgefallen. Als wir gerade ankommen, scheint es aber doch wieder zu gehen.
Auf unserem Boot waren übrigens viele Deutsche. Die offizielle deutsche Gruppe mit dem weißen Armband ist kleiner, da sie extra kostete und vermutlich auch vielen, mich eingeschlossen, nicht bekannt war. Aber ich hätte dafür auch nicht extra gezahlt.
Wir erreichen den Anleger im Prinzip wie zu Anfang erwähnt um 17:30, sind aber das letzte Boot und müssen zwischen zwei anderen anlegen, was es etwas kompliziert macht. Dass es jetzt Abendessen gibt, steht zwar nirgendwo, aber dennoch gibt es folgendes: Seafood-Salat, Hühnchen, Bratnudeln, Hähnchenspieße, Mango, Brownie. Wie beim Frühstück gibt es Eistee (ist sehr beliebt in Thailand), Thai-Milchtee (ebenfalls), Eiskaffee und ein rotes Gesöff. Wie beim Frühstück ist der Eistee bald schon leer. Thailändischer Frühstücks-Eistee schmeckt wie deutscher Krümeleistee Zitrone, wenn man zu viel Krümel genommen hat.
Da wir als letztes Boot anlegen, ist das mit dem Abendessen stressig, da die Busse pünktlich um 18 los wollen. Wie auf der Hinfahrt fährrt der Fahrer sehr... nennen wir es „zügig“. Mir wird ein bisschen übel, während ich das Boot gut überstanden habe.
Ankunft im Hotel gegen 21 Uhr. Langer Tag. Dennoch treffe ich noch die Gruppe. Eines der drei Pärchen war zum Tauchen auf Similan, war aber an zwei Stellen um Ko Similan 7 und daher zwei Stunden früher zurück als ich. Drei andere waren Reiten am Strand.
Südostasien III Tag 15: Ko Maiton, Ko Khai Nok, Ko Khai Nui/Nai – Insel-Check
Gibt es noch schönere Inseln bei Phuket als die, die ich 2024 gesehen habe? Ich finde es heraus. Heute, morgen und übermorgen.
Aus zeitlichen Gründen fehlen die Schnorchelbilder. Die trage ich noch nach.
Das Sugar Marina Art ist seltsam:
- Es befindet sich eine Badewanne im Flur des Zimmers. Sie ist überhaupt nicht abgetrennt und man kann sie vom Bett aus sehen.
- Es gibt eine Dusche, aber der Duschkopf kann nur so fixiert werden, dass man über die Trennwand spritzt, wenn man nicht komplett im Strahl steht.
- Das Bad ist in einem durchsichtigen Glaskasten. Leute ab knapp 1,80 können einfach hineingucken, da das Milchglas nur bis etwa 1,70 Höhe geht. Thailänder vergessen allgemein gerne, dass es Menschen gibt, die größer als sie sind (und das sind recht viele).
- Es gibt im Treppenhaus ein Bällebad.
(Dramaturgische Pause.)
Davor steht ein Schild, das darauf hinweist, dass man das dort nicht springen oder Ball spielen soll, da der Boden nachgeben würde und man nach unten fallen könnte. Ich habe es probiert (Leben am Limit!) und ich lebe noch. Und ach ja, das Treppenhaus steht auch noch. - Beim Frühstück gibt es Nestle-Eistee. „Er schmeckt genau so, wie UHU-Alleskleber riecht.“, meine ich. Die anderen lachen. Eine (Jana aus dem folgenden Bild) probiert und gibt mir grundsätzlich recht, der Eistee sei aber süßer.

Heute reisen die fünf Teilnehmer ab, die den Flug mit Thai hatten. Auf dem Hinweg war das ein Direktflug, jetzt entsprechend mit Umstieg. Alle Emirates-Gäste reisen eine bis drei Nächte später als geplant ab, und dann mit CA, CZ, DE oder OZ.
Aufgrund der bei solchen Reisen üblichen „halben Doppelzimmer“ (man spart etwa 400 Euro und schläft mit einer wildfremden Person selben Geschlechts in einem Zimmer) kam MPR jetzt auf die Idee, alle Zimmerpartner neu zu vergeben, sortiert nach Abreisedatum, selbst wenn heute Nacht noch beide Teilnehmer der Zimmer da sind. Da die Unterbringung eigentlich die Aufgabe von EK ist, weil die ja nicht fliegen, und aus Sicht von EK es sich um Einzelbuchungen handelt, halte ich es für kritisch, aber so können sie immerhin in einem Hotel bleiben.
Anders als ich, denn ich ziehe um. Und ich habe einen Halbtagsausflug gebucht. Checkout ist um 12, Abholung 12:20. In der Zwischenzeit kann ich mich verabschieden. Da der Abholer aber eine halbe Stunde zu früh ist, fällt das mit der Verabschiedung ins Wasser.
Ach ja Wasser: Es geht zum Schorcheln. Der Abholer fragte an der Rezeption nach dem Gast für Ko Phi Phi, wo ich schon war, weshalb ich irritiert bin. Wir fahren aber das Programm wie gebucht mit der Ice Cream Yacht (oder Ice Cream Boat).

Warum ich dieses Programm gebucht habe, will der Guide wissen. Es sei doch eher voll hier. 20 Leute. Ich meine, dass ich viele andere Inseln schon gesehen habe. und 20 Leute sind auch nicht so viel. Er betreut außer mir noch ein Ehepaar. Der Rest der Teilnehmer sind Chinesen.
Ko Mai Thon (Ko Maiton)

Bis zu dem Strand dürfen wir nicht. Aber wir dürfen an die felsige Küste. Ich schwimme auch in einizigen duzend Metern Abstand parallel zum Strand. Ko Mai Thon ist eine Privatinsel. Es geht, zumindest hier an der Rückseite der Insel (auf der anderen Seite ist wohl ein aktuell geschlossener Strandclub), gesittet zu und wir sind eines von nur zwei Booten.
Ko Khai Nok
Auf Ko Khai Nok werden wir mit einem Langschwanzboot (mit Einhorn-Bemalung!) ausgebootet. Wir sind 1 Stunde dort.
Nok bedeutet Vogel. Der Guide kann mir nicht erklären, was der Name soll. Ich glaube aber auch, dass er das englische Wort „bird“ nicht kennt.
Offiziell soll man nur am Strand liegen können. Das mir zu langweilig und ich mache die Insel unsicher. Da sehe ich auch sofort, warum die Insel Ko Khai Nok heißt:

Der Vogel sitzt neben Hütte, die zugemüllt am Hang des Berges der Insel steht. Ich klettere an einer anderen Stelle (beim kleinen, roten buddhistischen Schrein) auf den Berg. Dort befindet sich ein alter Baum in einem Urwald.

Dann klettere ich wieder runter und schaue mich noch ein bisschen um.


Ich gehe noch kurz schnorcheln. Die Indopazifischen Sergeant sind sehr zahm. Touristen versuchen, sie mit der Hand zu fangen.
Ko Khai Nui
Letzter Stopp ist Ko Khai Nui, auch Ko Khai Nai genannt. Ko Khai Nai ist aber eher die Bezeichnung einer Insel, die wie Ko Khai Nok ohne den Berg und jegliche Vegetation aussieht. Siehe den oben verlinkten Blogpost zu Ko Phi Phi.

Auf dem Satellitenbild von Google Maps ist Ko Khai Nui mit einem blauen Gebäude bebaut. Es ist absolut gar nichts mehr davon erkennbar, aber überall im Wasser liegen blaue Stücke rum. Die Stücke scheinen aus Keramik zu sein, während das Gebäude auf Google Maps eher nach Wellblech aussieht.
Der Ausflug war ganz okay. Aber warum gab es auf dem Ice Cream Boat bitte kein Eis?
Ich ziehe um und treffe die anderen (etwa 10 der verbliebenen 20). Wir wollen zum Nachtmarkt. Sie wollen zum Nachtmarkt am Strand. Der ist aber einfach nicht da.
Also gehen wir zum Nachtmarkt beim Tempel. Der ist da, aber wir finden nichts außer Mochi (Reiskuchen). Also gehen wir gemeinsam zum Bouletten-Monarchen.
Danach gehen Jana und ich ins Bällebad. Das erste Bild in diesem Post ist somit das neueste. Gerüchte besagen, dass das Bällebad nicht dazu da ist, um genutzt zu werden. Aber wir konnten dazu nichts finden.
Südostasien III Tag 14: Phang-Nga-Bucht, Khao Phing-Kan („James-Bond-Insel“) / Ko Tapu („James-Bond-Felsen“) – 007 (002)
Nochmal James-Bond-Insel. Mit etwas schönerem Himmel und mehr Mangroven. Kann man für 35 Euro mal machen.
8 Uhr Abfahrt. Wie immer ein paar Minuten zu spät, was aber niemanden stört.
Auf dem Weg nach Phuket haben wir die Möglichkeit, einen Bootsausflug durch die Phang-Nga-Bucht nach Khao Phing-Kan machen, die so genannte James-Bond-Insel. 1300 THB kostet der Spaß, alternativ 35 Euro und 30 THB. Klingt nicht viel, ist für die 3 Stunden aber mehr als der Ganztagesausflug, den Mo damals auch Ko Yao Yai organisiert hat, mit Mittagessen.
Ich war zwar 2024 schon auf der James-Bond-Insel, aber Jet hatte gesagt, dass wir durch die Mangroven fahren, und deshalb bin auch ich dabei. Und die Fahrt ist wirklich schön:

Highlight bei der Fahrt durch die Mangroven ist diese Höhle:

Die Höhle hat offenbar keinen Namen. Das obige Bild zeigt sie nach unserer Durchfahrt, also von der Meerseite.



Es gibt keinen Kommentar von Jet, daher kommentiere ich ein bisschen, was wir sehen. Allerdings ist der Motor des Langschwanzboots sehr laut und das Boot sehr lang.

So kann ich ihnen auch sagen, dass wir gleich da sind. Gleich da bei der hier:




Zurück geht es dann auf dem direkten Weg, auch nicht durch die Höhle am Anfang. Zeit, mein Hotel für Morgen zu buchen. Das Hotel der Rundreise ist inzwischen doppelt so teuer wie zum Buchungszeitpunkt der Rundreise letztes Jahr, das sind 100 Euro. Die Agentur, die es jetzt für etliche Leute buchen musste (dazu gleich mehr) will ebenfalls 3800 THB pro Nacht. Das Glow Mira, was ich zuerst rausgesucht hatte, scheint inzwischen nicht mehr buchbar zu sein – nur das Familienzimmer und das kostet mehr als ein Zimmer im Rundreisehotel. Geht dann aber doch, denn man kann es nicht für zwei Tage buchen, da übermorgen nur 1 Superior- (45,99) und morgen 2 Deluxe-Zimmer (56,49) buchbar sind. Also einzeln buchen. Mal sehen, ob ich umziehen muss oder ob sie mir z.B. das dreimal so teure Familienzimmer geben, das man durchgängig buchen konnte. Spannend ist auch, ob das Internet dort besser ist als im Sugar Marina Art, denn das ist eine Katastrophe. Könnte daran liegen, dass es öffentlich ohne Passwort ist. Und mehr als ein Tag im Sugar Marina Art lohnt auch nicht, denn bei der Minibar ist nur die erste Füllung inklusive.
Dann geht es weiter nach Phuket. Wir halten nochmal bei einer PTT-Tankstelle. Viel Zeit für Amazon, 7-Eleven und KFC haben wir nicht, nur eine halbe Stunde, weil Jet um 18:40 seinen Flieger zurück nach Bangkok hat. Er kommt zwar mit nach Karon, fährt aber sofort weiter und kommt nicht mit zum Checkin am Hotel. Es gibt somit bei dieser Reise, anders als bei der Thailand-Reise von Singapur aus, kein gemeinsames Abschieds-Abendessen.
Bewertung? Jetzt schon? Hmm ja. 7/10 Reise plus eine knappe 1/3 für Gruppenbonus, weil die Gruppe bis auf die Karaokeabende gestern und vorgestern (vor insbesondere vorgestern bei weitem nicht alle dabei waren) wenig unternehmensfreudig war. Es gab auch eine gewisse Segmentierung. Heute ist eine der Untergruppen, „Drei Engel für Jericho“, zum Illuzion gefahren in der berüchtigten Bangla Road gefahren. Der Rest hatte keine Lust, ausnahmsweise war auch mal ich unter den Langweilern.
Warum nur 7/10? Ich weiß es auch nicht. Es fehlte meiner Meinung nach gegenüber anderen Reisen die nicht-religiöse Kultur. Da hätte man in Bangkok und Phuket-Stadt mehr draus machen können. Der eher lieblose Kochkurs hat's jetzt auch nicht rausgerissen. Die Hotels in Kanchanaburi und Chumphon hatten von der Lage her wenig Charakter, auch das Ersatzhotel in Khao Sok war langweilig (kein Pool, keine Aussicht und nichts Besonderes außer der Affenkeile am zweiten Tag). Die eine Nacht in Phuket ist auch lächerlich. Inzwischen haben fast alle aber diverse Nächte Verlängerung bekommen – ich glaube sogar alle, die nicht mit TG fliegen. Die Flüge, die seit dem Abend (Ortszeit) in Kanchanaburi (Tag 7) bekannt waren, wurden am Abend (Ortszeit) in Chumphon (Tag 11) von MPR bestätigt, nachdem sie uns einige Tage davor mitgeteilt hatten, dass sie von nichts wüssten. Da die Rail'n'Fly-Flex-Tickets jetzt keinen Sinn mehr ergeben, existiert wohl eine zeitlich befristete Sonderregelung. Sollte ich mal Zeit haben, mache ich mal eine Karte. Es ist nämlich echt wild.
Die Reise geht jetzt von mir aus mit drei Tagen Phuket und drei Tagen Singapur weiter, plus ein Nachtflug SIN–HEL, mein viertlängster geteilt mit BNE–DXB 2019 und nach DXB–AKL 2020 und DXB–SYD/SYD–DXB 2019/2020.
Südostasien III Vormittag 13: Wanderweg Bang Hua Rat im Khao-Sok-Nationalpark – Tierisch was los im Regenwald
4 Stunden wandern durch den Nationalpark – da sieht man viele Tiere!
Gestern waren wir bis halb 0 in der Karaokebar. Da deren System nicht funktioniert hat, haben wir meins benutzt und damit den Bierkönig nach Khao Sok gebracht. Engländer hassen diesen Trick.
8:30. Los geht’s in den Nationalpark. Der ist praktischerweise direkt um die Ecke. Für den Fall, dass ihr die Reise mal macht und in der Khao Sok River Lodge untergebracht seid: Der Teil des Weges, den man bei dieser Wanderung geht, ist sehr gut erkennbar (es ist die einzige Straße, die man zumindest mit 4x4-Fahrzeugen befahren könnte), das Hotel liegt direkt neben dem Parkeingang und der Weg kann ohne Guides gemacht werden. Wir haben trotzdem zusätzlich zu Jet noch zwei weitere Guides.
Warum das wichtig ist, wenn es eh inkludiert ist: Man kann einen Tagesausflug zum See (Ratchaprapha oder Cheow Lan genannt) machen. Da besucht man die Diamantenhöhle, die aber aktuell wegen eines Erdbebens vor ein paar Tagen geschlossen ist. Nach Rückkehr von dem Ausflug kann man den Weg dann allein laufen. Ist laut Guide eh besser, da bei einer großen Gruppe die Tiere reißaus nehmen. Ohne Guide ist es aber auch schwerer, welche zu finden. Einfach da stehen bleiben, wo die anderen Guides auch stehen bleiben.
Wir laufen den auf OSM braun gestrichelten Weg lang, nehmen aber alle Umwege mit, außer den, für den man die Fluss (Sok) queren müsste.



Wie schwer ist es, ohne Guide ein Tier zu finden? Schon nicht einfach. Ich finde auf der Wanderung drei - vermutlich dreimal das gleiche:

Wobei, falsch, ich sehe noch ein Tier:

Dann geht es wie erwähnt einen Umweg, nämlich durch den Wald zum Wasser.



Dann entbrennt eine Diskussion, wie wir zurück zur Straße kommen. Es gibt drei Versionen: Normal, mit einem Seil eine steile Treppe in einer Lehmkante hochziehen, oder über einen umgestürzten Baumstamm. „Eigene Verantwortung“, lässt sich Jet überreden.



Dann erreichen wir das Ende der Straße und des Bang-Hua-Rat-Wanderweges. Hier befindet sich ein Kiosk (nicht gerade billig) und der Wasserfall Ton Kloi. Also es ist kein wirklicher Wasserfall, da Trockenzeit ist. Aber es sind Fische da. Man kann sich von ihnen behandeln lassen. Ich gönne mir also eine Runde Fisch-Spa.

Den Tipp gebe ich an einige Franzosen weiter. Eine von ihnen hat einen Edelfalter gefunden:


Also wirklich nicht viel Wasser drin im Fluss. Dann geht es zurück.


Wir sehen im Dickicht einige Südliche Brillenlanguren. Sie sind gut versteckt und daher schwer zu sehen und zu fotografieren. Angeblich ist das die einzige Familie im Nationalpark. Ich bleibe noch ein bisschen länger und versuche, sie zu fotografieren. Das lohnt sich, auch wenn die Bilder wegen der sehr komplizierten Lichtverhältnisse nicht perfekt werden:




Die Gruppe ist längst über alle Berge. Aber wie gesagt kann man sich nicht verlaufen. Ich treffe noch auf zwei Skinke, wobei der erste sich durch Rascheln verrät. Der zweite sitzt auf einem umgefallenen Betonpfeiler und ist dadurch leicht zu sehen, aber auch schnell weg.

Kurz darauf stößt ein Straßenhund zu mir und begleitet mich bis zum Ausgang.
Zurück im Hotel geht es schon bald tierisch weiter, denn plötzlich gibt es eine Affeninvasion.


Ich weiß nicht, was er da frisst, aber er ist auch eine Stunde später noch damit zugange, das zu fressen. Was er dazwischen so tut? Na zum Beispiel das hier:

Falls ihr euch fragt, warum die Langschwanzmakaken (Javaneraffen) so einen langen Schwanz haben: Damit kann man Affenleiter machen, um zu den Balkons unserer Hütten zu gelangen:

Nicht immer läuft es so partnerschaftlich ab. Auf der anderen Seite des Hauses schubst ein Affe den anderen herunter.
Dann ist Gewitter und starker Regen bis zum Abend. Eigentlich wollte ich eine Nachtwanderung machen, aber bei dem Wetter lieber nicht. (Zur Zeit der Nachtwanderung ist es letztendlich aber trocken.) Der Weg der Nachtwanderung ist etwa die Hälfte des Weges, den wir heute Vormittag gegangen sind.

geschrieben von Janni